Land for sale
Key information
Features and description
- Current EPC N/A
- For Sale By National Online Auction Monday 5th January 2026 Ending 24 Hours Later
- Freehold Plot
- Detached Stone Barn
- Residential Location
- Close to Local Amenities & Parkland
- Close to M4
- Legal Pack Available to Download Free of Charge
- See Additional Fee Note
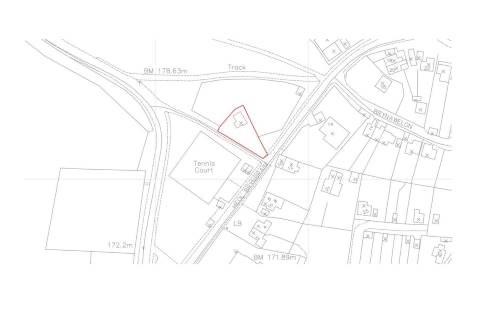
Guide Price £1,000+ (plus fees). For sale via National Online Auction on Monday 5th January 2026, ending 24 hours later. A Freehold Plot of Land Approx 607sqm with Detached Barn. Legal pack available to download free of charge from our website.
Vacant Freehold Plot of Land
A vacant detached barn on a plot of land measuring approximately 607sqm (6,533sqft) located in Swansea, West Glamorgan. Situated on a residential road close to local amenities and open parkland.
FULL DETAILS Photographs, Dimensions, Floor Plans and Area Measurements (when available) are included within our full details online on our website. All published information is to aid identification of the property and is not necessarily to scale.
VIEWINGS Please telephone Auction House South West on[use Contact Agent Button] to request a viewing.
NOTICE TO BIDDER Please be aware that if your bid is successful on auction day the exchange of contracts will happen immediately after the auction.
Tenure: Freehold
Administration Fee: £1200 inc VAT payable on exchange of contracts.
Disbursements: Please see the legal pack for any disbursements listed that may become payable by the purchaser on completion.
About this agent




