Residential development for sale
Key information
Features and description
LOCATION
The site lies at the rear of 38 Fishpond Lane and has an existing access off Farrow Avenue, Holbeach. It is therefore within walking distance of Holbeach town centre and all the amenities which this Market town has to offer.
DESCRIPTION
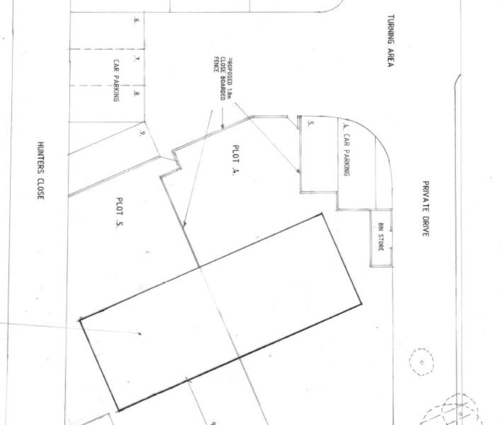
The land extends to approximately 1,351m² (0.33 acres). Access to the plot is proposed to come from Farrow Avenue. The plot is broadly rectangular in shape and has a frontage to Farrow Avenue of approximately 28m, and has an average depth of 55m.
The determined Outline Planning Consent is granted for 5 no. properties off a private drive, and indicatively is shown to comprise 3 x 3 Bedroom terrace houses at the rear and 2 x 3 bedroom semi-detached houses at the front of the site. The original buildings on site have now been demolished. The terrace houses are designed in a ‘Dorma’ style.
There is an Internal Drainage Board byelaw/easement running across the front of the site (9m), which restricts any development in this area, or planting.
The Registered Title number of the site is LL305652, and the property has a Restrictive covenant preventing the development of unsightly structures (to ensure only conventional dwellings i.e not Temporary or Commercial properties).
SERVICES
Electricity has been disconnected, but a water standpipe is still in existence on the site. All mains services are believed to exist in Farrow Avenue, however prospective purchasers should make their own enquiries to establish the suitability and costs of connections.
LEGAL COSTS
Each party to bear their own legal costs.
PLANNING
Outline Planning Consent with All Matters Reserved, was granted by South Holland District Council - Reference No: H09-0913-22 on 10th October 2023. A copy of the formal Planning Consent is available from the Council’s website - – or is available from the Agent’s Spalding Office. Included in these Particulars is a copy of the plans determined by the Planning Application. The purchaser will be responsible for all costs in obtaining Reserved matters, and condition compliances consents, and for further studies required, which include contamination and drainage.
This planning consent was granted prior to the introduction of the new Biodiversity measures policy, and therefore there is only has a requirement to make ‘simple’ measures, and one swift brick is also to be added per dwelling.
VIEWING
By appointment only
Property information from this agent
About this agent








