Popular
Total views: 2500+
Offers in region of
£150,000Land for sale
Plot 3 Land At Wakefield Road, Copley
Land
Key information
Features and description
- Building Land with Full Planning Permission
- Detached Executive Home
- Views Over Norland Hillside
- Excellent Access to The Trans Pennine Road & Rail Network Linking Manchester & Leeds
- Easy Access to Outstanding Schools
- The Chance to Build Your Dream Home
- Single Building Plot
- Realistically Priced
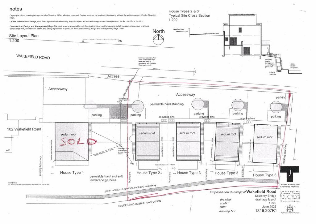
An excellent opportunity to purchase this single building land with full planning permission for an executive detached property in this highly desirable residential location overlooking the Norland Hillside. The present planning permission is for 5 executive detached four bedroomed family homes with plot one already sold. leaving the remaining four plots to be sold The present planning permission is for detached executive homes measuring approximately 220 square meters over four floors with integral garages four bedrooms, three bathrooms and gardens sweeping down to the canal side. There is main road access from Wakefield Road with all mains services available. Very rarely does an opportunity arise to purchase a plot of building land in this desirable and convenient location.
PLANNING PERMISSION
Full details can be downloaded from Calderdale Councils Website
https:/
ew.calderdale.gov.uk/planning-and-building-control/search-and-comment-planning-applications
TO VIEW
Strictly by appointment please contact the selling Agents Property@kemp&Co on[use Contact Agent Button]
DIRECTIONS
SAT NAV HX6 2AZ
PLANNING PERMISSION
Full details can be downloaded from Calderdale Councils Website
https:/
ew.calderdale.gov.uk/planning-and-building-control/search-and-comment-planning-applications
TO VIEW
Strictly by appointment please contact the selling Agents Property@kemp&Co on[use Contact Agent Button]
DIRECTIONS
SAT NAV HX6 2AZ
Property information from this agent
Area statistics
Crime score
Low crime
2/10
About this agent

Peter and Jane Kemp established Property@Kemp & Co in Skircoat Green Road, Skircoat Green, Halifax in March 2010. Peter, who set up and successfully managed an Estate Agency in Halifax during the last 25 years, decided the time was right for a new challenge. Situated in the heart of Skircoat Green, the office enjoys a prominent and highly visible location within this desirable and sought after area next to the local Post Office. We aim to provide an unparalleled level of service which is designed to eliminate the stress from selling a property, delivering the ultimate in client care. They say ‘our aim is quite simply to offer an efficient, friendly and professional property sales service, whilst maximizing the value of our client’s property’. Whilst we are delighted to be working in our locality, we are keen to represent the whole of Calderdale and our property portfolio reflects this. Calderdale is situated between Manchester and Leeds on the M62 corridor and offers a diverse selection of properties. The brand of Property@Kemp&Co has been designed to be bright, easily distinguished and contemporary and our client’s properties are presented in a similar way. We offer the best of traditional Estate Agency techniques whilst embracing new ideas and technology to ensure a successful outcome for each client’s property. Peter is a member of the National Association of Estate Agents as well as The Association of Residential Letting agents, and has an unequalled range of experience in both residential sales and property lettings. Being a Valuer with more than 25 years experience in the Calderdale area, he can provide you with a professional market appraisal and valuation of your property. Jane, who has a wealth of experience in customer care and office management, is responsible for maintaining the high standard of service we provide. It would be our pleasure to assist you with selling or letting your property and will be only too pleased to provide you with any advice or assistance you require.
Similar properties
Discover similar properties nearby in a single step.








Floorplans (
Area stats

