Popular
Total views: 2500+
Offers in region of
£100,000Land for sale
Feldale Drove: Coates
Land
Features and description
- For Sale - Freehold with Vacant Possession
- 14.840 Acres - 6.006 Hectares (or thereabouts)
- Grade 2 (Arable) Agricultural Land
- Feldale Drove, Coates, Near Peterborough
- Price offers of not less than £110,000 are invited for the whole, subject to contract
FOR SALE - FREEHOLD WITH VACANT POSSESSION
14.840 ACRES 6.006 HECTARES
(or thereabouts)
GRADE 2 (ARABLE) AGRICULTURAL LAND
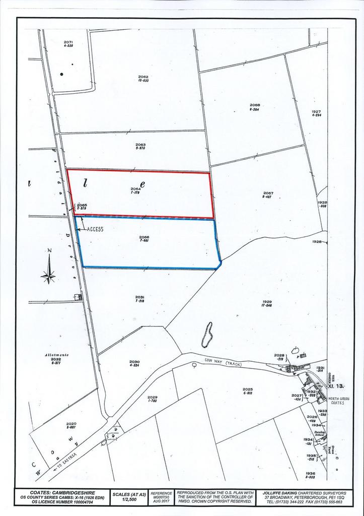
FELDALE DROVE, COATES, NEAR PETERBOROUGH
as shown within the boundaries edged red and blue on the attached identification plan.
PRICE: Offers of not less than £100,000 are invited for the whole, subject to contract.
VIEWING
Prospective purchasers may view the land without further authority from the Agents but should carry a copy of these particulars with them during the course of their inspection and produce them if requested.
NOTES
The two fields are no longer separately physically defined and are in different ownership, but within the same family.
O.S. Number 2064 is owned by the Executors of the Late Miss A.H. Hurry who also own a 50% interest in O.S. Number 2066. The remaining 50% interest is owned equally by two other members of Miss Hurry's family.
For this reason separate offers are invited for each field or for their combined purchase if interested parties would only be interested in acquiring both parcels.
The land has not been cultivated since September 2021.
14.840 ACRES 6.006 HECTARES
(or thereabouts)
GRADE 2 (ARABLE) AGRICULTURAL LAND
FELDALE DROVE, COATES, NEAR PETERBOROUGH
as shown within the boundaries edged red and blue on the attached identification plan.
PRICE: Offers of not less than £100,000 are invited for the whole, subject to contract.
VIEWING
Prospective purchasers may view the land without further authority from the Agents but should carry a copy of these particulars with them during the course of their inspection and produce them if requested.
NOTES
The two fields are no longer separately physically defined and are in different ownership, but within the same family.
O.S. Number 2064 is owned by the Executors of the Late Miss A.H. Hurry who also own a 50% interest in O.S. Number 2066. The remaining 50% interest is owned equally by two other members of Miss Hurry's family.
For this reason separate offers are invited for each field or for their combined purchase if interested parties would only be interested in acquiring both parcels.
The land has not been cultivated since September 2021.
Area statistics
Crime score
Low crime
0/10
About this agent

At Jolliffe Daking LLP we are dedicated to bringing you the best in property services. As one of the most established property management firms in Peterborough, you can rely on us to provide you with the best advice and guidance on all aspects of the property market. So who are we? Our company is an independent, privately owned firm of property experts, chartered surveyors and estate agents. We’re run by four highly qualified and experienced directors, who are each supported by specialist teams focusing on different areas of property management. So why choose us? Well, you’ll receive the best service possible as we’re fully accredited members of both the Royal Institution of Chartered Surveyors (RICS) and the Association of Residential Letting Agents (ARLA). These professional bodies set out best practice and national codes of conduct so you can be sure you’re in safe hands. We’ve also been doing property services for a long time, and we do them well. This means that no matter what you need, from selling and buying to letting, renting, valuations, independent surveys or consultations, we can offer you a complete service.


Area stats